Inhalt
Der Weinstock ist ein Kind der Erde und der Sonne. Seine Beeren sind mit lebensspendender Kraft gefüllt, die dem Menschen zur Verfügung steht. Der Legende nach absorbieren gelbe Trauben die Energie des Tageslichts, rote Trauben symbolisieren die Morgendämmerung, dunkelblaue und schwarze Beeren verbergen das Geheimnis der südlichen Nacht. Sie können dieses Geheimnis enthüllen, indem Sie die Früchte der herrlichen Sorte Baikonur probieren. Es ist eines der vielversprechendsten neuen Produkte auf dem Markt und hat bereits heute viele Bewunderer und Bewunderer gewonnen. Seine Popularität und Nachfrage beruht auf seinen hervorragenden marktfähigen, geschmacklichen und agrotechnischen Eigenschaften. Alle relevanten und nützlichen Informationen zu dieser einzigartigen Sorte finden Sie weiter im vorgeschlagenen Artikel.
Vorteile der Sorte
Mann vor 7 Tausend Jahren domestizierte Trauben. Während dieser Zeit ist eine große Anzahl verschiedener Sorten dieser Pflanze aufgetaucht, aber die beste davon ist die Baikonur-Traube. Sein Schöpfer ist ein Amateurzüchter Pavlovsky E.G. Die Sorte wurde durch Kreuzung zweier berühmter Vorfahren erhalten: "Beauty" - und "Talisman" -Trauben. Die resultierende Sorte hat die besten Eigenschaften ihrer Vorfahren aufgenommen. Zu seinen Vorteilen gehört also:
- frühe Reifung der Trauben;
- ausgezeichneter, harmonischer Beerengeschmack;
- hohe Resistenz gegen Wetterkataklysmen und einige Krankheiten;
- ausgezeichnete kommerzielle Eigenschaften, Größe der Beeren und Trauben, Beständigkeit gegen Rissbildung und Abfallen;
- Eignung für den Transport und die Möglichkeit der Langzeitlagerung;
- Hohe Produktivität;
- Mangel an Erbsen (bildet keine kleinen Beeren);
- gute Frostbeständigkeit.
Die Sorte Baikonur wurde vor relativ kurzer Zeit gezüchtet: Erst 2012 wurde sie dem normalen Gärtner zur Verfügung gestellt. Gleichzeitig waren die Kosten für die Neuheit manchmal um ein Vielfaches höher als die Preise für andere Sorten dieser Kultur, so dass die Sämlinge mit Vorsicht und etwas Misstrauen gekauft wurden. Heute kennen viele Landwirte die Sorte Baikonur. Nur gute Kommentare und Lob für diese Traube sind von ihren Lippen zu hören. Für diejenigen, die mit der Kultur noch nicht vertraut sind, werden wir versuchen, eine detaillierte Beschreibung der Baikonur-Sorte, ein Foto der Trauben und Bewertungen darüber zu geben.
Merkmale von Beeren
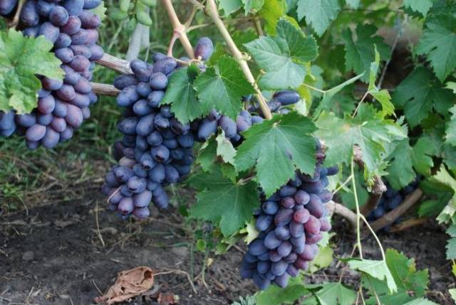
Ein erfahrener Spezialist kann Beeren der Sorte "Baikonur" sowohl "nach Auge" als auch nach Geschmack unterscheiden. Die dunkelvioletten und manchmal sogar schwarzen Beeren sind sehr groß und zylindrisch. Das Gewicht von jedem von ihnen variiert zwischen 14 und 18 g. Die Länge der zylindrischen Früchte erreicht in einigen Fällen 40 mm. Diese riesigen Beeren werden in üppigen und erstaunlich schönen Trauben mit einem Gewicht von bis zu 700 g gesammelt. Solche herrlichen Trauben überraschen immer wieder mit ihrem Aussehen und machen Lust, sie zu probieren.
Traubenbeeren "Baikonur" zeichnen sich durch ein ziemlich dichtes Fruchtfleisch und eine dünne, zarte Haut aus. Trotz ihrer Zartheit ist die Haut der Trauben rissbeständig und behält auch während der Regenzeit ihre Unversehrtheit. Das Beerenpulpe hat ein zart fruchtiges Aroma. Es gibt keine Noten von Muskatnuss im Geschmack der Frucht.
Unter allen Merkmalen ist die "Visitenkarte" der Sorte "Baikonur" die Süße der Früchte: Große Trauben sammeln selbst in der Zeit starker Regenfälle etwa 20% Zucker an. Der Säuregehalt der Beeren während der Reifung kann etwa 7% betragen, aber während der Lagerung werden die Trauben fast vollständig von Säure befreit.Der hohe Zuckergehalt macht die Sorte für die Weinherstellung unverzichtbar, da bei Verwendung der Sorte Baikonur der Zuckergehalt nicht künstlich erhöht werden muss.
Baikonur-Trauben behalten ihr ausgezeichnetes Aussehen und ihren Geschmack nicht nur im Stadium der Reifung, sondern auch nach der Ernte. Reife Beeren fallen unabhängig von den Wetterbedingungen nicht ab, sondern warten geduldig auf das Schneiden. Die gesammelten Weintrauben können in einem kühlen Raum gelagert oder zur Herstellung von Wein und Marmelade verwendet werden. Bei Bedarf kann das Erntegut sicher über große Entfernungen transportiert werden. Wenn wir die Beschreibung der "Baikonur" -Trauben analysieren, können wir mit Sicherheit den Schluss ziehen, dass diese Sorte hinsichtlich ihrer Eigenschaften nicht nur für den Verzehr innerhalb einer Familie, sondern auch für den Anbau mit dem Ziel des anschließenden Verkaufs am besten geeignet ist.
Beschreibung des Weinbergs
Es ist ziemlich schwierig, die Trauben der Sorte "Baikonur" im Detail zu beschreiben, da derzeit nur Studien durchgeführt werden, um den einen oder anderen Parameter zu bestimmen. Im Allgemeinen muss man sich bei der Beschreibung der Baikonur-Trauben auf die Beobachtungen und Bewertungen der Winzer verlassen, die diese wunderbare Pflanze seit mehreren Jahren in ihrem Garten anbauen, sowie auf die Daten des Autors dieser Baikonur-Sorte.
Die Rebsorte "Baikonur" ist ein kräftiger Strauch, der in seiner eigenen Wurzelform oder durch Wurzelstock angebaut werden kann. In beiden Fällen züchtet die Pflanze aktiv kräftige grüne Triebe und trägt gut Früchte. Mit Ausnahme der Sorte "Rumba" können Trauben der Sorte "Baikonur" auf jede Weinrebe geimpft werden.
Die Weinrebe "Baikonur" reift in einer Sommersaison. Junge Triebe erreichen bereits im Alter von 2-3 Jahren eine Höhe von 3-4 m. Ein riesiger Strauch erfreut das Auge immer mit sattem Grün, saftigem Grün. Das Wurzelsystem nährt nicht nur die unteren, sondern auch die obersten Blätter der Pflanze gut.
Blühende Trauben und Fruchtzeit
Die Blüte der Weinrebe "Baikonur" verläuft immer aktiv und vollständig: Die Blüten der Pflanze sind bisexuell und problemlos bestäubt. Nach 105-115 Tagen ab Beginn der Vegetationsperiode können Sie die ersten Trauben dieser Sorte probieren. Bei günstigen Wetterbedingungen ist die erste Erntezeit Ende Juli. Im Allgemeinen dauert die Reifezeit der Trauben bis zum Spätherbst.
Das Gewicht der ersten reifenden Trauben ist gering und kann nur 500 g betragen. Spätere Trauben mit ihrem Gewicht können 700 und manchmal sogar 1000 g erreichen. Der Ertrag der Trauben "Baikonur" hängt direkt von den Wachstumsbedingungen und insbesondere ab über die Intensität der Bewässerung der Pflanzen. Wenn Sie besonders große, gegossene Trauben beobachten, müssen Sie darauf achten, zusätzliche Stützen zu installieren, die die Rebe übermäßig entlasten.
Wachsende Eigenschaften
Die kräftige und üppige Baikonur-Traube muss auf einem sonnigen Grundstück angebaut werden, auf dem es keine Zugluft und keinen Zugang zu kalten Nordwinden gibt. Es ist vorzuziehen, Sträucher auf der südlichen oder südwestlichen Seite des Geländes zu pflanzen. Bei Bedarf kann ein künstlicher Windschutz bereitgestellt werden. Dies kann eine Wand eines Gebäudes, ein Zaun oder ein hoher Baum sein.
Um die Sorte Baikonur anzubauen, müssen Sie den Boden vorbereiten. Diese Traube bevorzugt leichte und nahrhafte Böden. Zusätzlich zu den notwendigen Substanzen und Feuchtigkeit müssen die Wurzeln der Pflanze Zugang zu Sauerstoff haben. Sie können das am besten geeignete Substrat für die Kultur wie folgt erhalten:
- In schweren Lehmböden müssen Sie Sand, Mist und Torf hinzufügen. Als Entwässerung sollte eine bestimmte Menge Blähton, Kies oder Ziegelbruchstücke in den Boden gegeben werden.
- Die Fruchtbarkeit sandiger Böden sollte mit Hilfe von Gülle und Torf gesteigert werden.
- Salzhaltige Böden müssen vor dem Pflanzen der Trauben gewaschen werden. Zu diesem Zweck wird in der Herbstperiode ein Grundstück reichlich bewässert und das Grundwasser mit einem Komplex von Entwässerungselementen vom Pflanzort abgeleitet.
- Leider ist es nicht möglich, Baikonur-Trauben auf sumpfigen Böden anzubauen. Bei Bedarf können sumpfige Bereiche des Bodens durch ein Entwässerungssystem entwässert werden.
Nachdem Sie einen geeigneten Ort auf dem Gelände ausgewählt haben, können Sie mit dem Pflanzen von Trauben beginnen. Dazu können Sie Stecklinge oder bereits gewachsene Sämlinge verwenden. Der Boden auf dem Sitz muss tief gelockert werden. Die Pflanz- und Lockerungstiefe hängt weitgehend von den Merkmalen des Anbaugebietes ab:
- Je tiefer die Wurzeln des Sämlings sind, desto unwahrscheinlicher ist es, dass die Pflanze im Winter ausfriert.
- Tiefe Wurzeln haben einen besseren Zugang zu unterirdischer Feuchtigkeit.
In Anbetracht dieser Merkmale können die folgenden Pflanztiefen empfohlen werden:
- In den südlichen Regionen reicht es aus, eine Pflanzgrube mit einer Tiefe von 50-55 cm zu bauen.
- Erhöhen Sie in Regionen mit hoher Wahrscheinlichkeit schwerer Winterfröste die Tiefe der Pflanzgrube auf 60-70 cm.
- Im Norden des Landes wird empfohlen, Baikonur-Setzlinge in einer Tiefe von 80 cm zu pflanzen.
- In trockenen Regionen sollten die Wurzeln des Sämlings so tief wie möglich gelegt werden.
Mit solchen Empfehlungen können Sie den Weinberg im Winter erhalten, unabhängig von den "Überraschungen" des Wetters. Im Allgemeinen ist die Rebsorte Baikonur hinsichtlich ihrer Eigenschaften winterhart und verträgt erfolgreich Wintertemperaturen bis zu -23 ° C.0VON.
Sie müssen ein Pflanzloch etwas unterhalb der empfohlenen Tiefe graben, da 15 bis 20 cm des Bodens des Lochs mit Drainagematerial und einem nahrhaften Substrat gefüllt werden müssen. Ein kleiner Hügel besteht aus Humus oder Torf, der leicht mit Rasenboden bestreut ist. Auf dem entstandenen Hügel in der Grube müssen Sie einen Sämling platzieren und seine Wurzeln ausbreiten. Das verbleibende Volumen der Grube muss mit Rasenboden unter Zusatz von Torf, Sand und Superphosphat (Asche) gefüllt werden. Nachdem die Pflanzstelle zur Hälfte mit Erde gefüllt ist, müssen Sie die Pflanze reichlich gießen. Wenn das Wasser tief im Boden absorbiert ist, können Sie den verbleibenden Boden in das Loch gießen und dabei nur 2-3 Augen über dem Boden halten.
Während die Trauben wachsen, muss der Boden in die Pflanzgrube gegeben werden.
Rebsorten aus Stecklingen
Trauben der Sorte "Baikonur" vermehren sich problemlos durch Stecklinge. Wenn also ein Nachbar eine Rebsorte hat, können Sie in Ihrem Garten nach einem Stück für den Anbau fragen. Ein guter Traubenstiel ist ein Stück einer reifen Rebe mit 3-4 Augen und Internodien, 7-10 cm lang. Der Stiel kann unter den sanften Bedingungen eines Gewächshauses oder durch direktes Einpflanzen in den Boden gekeimt werden. Es wird empfohlen, im Frühjahr oder Herbst einen Traubenschnitt "Baikonur" in den Boden zu pflanzen, aber die zweite Option verringert die Wahrscheinlichkeit des Überlebens der Pflanzen erheblich.
Der Traubenstiel muss vorbereitet sein:
- Schneiden Sie die Unterkante in einem Abstand von 5-10 mm vom Auge schräg ab.
- Schneiden Sie die Oberkante des Schnitts horizontal 3 cm über dem Guckloch ab.
- Machen Sie im unteren Teil des Schnitts kleine vertikale Schnitte (Rillen), damit die Trauben schneller Wurzeln schlagen können.
- Die Unterkante der Stecklinge mit Rillen sollte in Kornevin getaucht oder mehrere Stunden in einer Lösung eines Wurzelwachstumsstimulators aufbewahrt werden.
- Graben Sie die Weinstecklinge mit dem Boden und kippen Sie sie um 450.
- Junge Setzlinge der Trauben "Baikonur" für den Winter sollten mit Laub, Stroh, Fichtenbeinen bedeckt sein.
Eine solch einfache Methode zur Vermehrung von Baikonur-Trauben ist für Winzer am leichtesten zugänglich, da keine teuren Sämlinge gekauft werden müssen. Sein Hauptnachteil ist die niedrige Überlebensrate von Stecklingen.
Fazit
Die Rebsorte Baikonur kann sicher als die beste unter anderen Rebsorten bezeichnet werden. Die Beeren sind sehr lecker und aromatisch. Ihr Aussehen wird niemanden gleichgültig lassen, denn große, saftige, fleischige Früchte möchten nur gegessen werden. Der gute Ertrag der Sorte Baikonur und der hohe Zuckergehalt der Früchte ermöglichen es nicht nur, frische Beeren zu genießen, sondern auch Marmelade und natürlichen Traubenwein für den Winter zuzubereiten. So kann der Weinberg von Baikonur zu einer üppig grünen Dekoration jedes Gartens werden, ein ausgezeichneter Genuss für Kinder und ein Glücksfall für Winzer.











